kuzhi

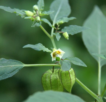
苦蘵

清热解毒,利尿消肿
苦蘵

别名:敢、黄蒢、小苦耽、灯笼草、鬼灯笼、天泡草、爆竹草、劈拍草、响铃草、响泡子、绿灯、野绿灯

性味:味,性、微

归经:归、大小肠经。

苦蘵的功效与作用

可清热,利尿,解毒,祛风,消炎,行血,调经,祛痰止咳,散结消肿;用于感冒,肺热咳嗽,咽喉肿痛,龈肿,湿热黄疸,痢疾,水肿,热淋,天疱疮,疔疮,疗疮,毒蛇咬伤,卵巢炎,输卵管炎,湿热黄疸,热淋等症。

味苦,性凉、微寒。果:味酸,性平、凉。入肺、大小肠经。

成分

含酸浆果红素,即玉蜀黍黄素二棕榈酸酯。

用法用量

日常用量:18.5~70g,水煎服。

禁忌

孕妇、产妇不可用,凡未成熟之浆果勿吃。

本品含浆果红素,脾虚泄泻及痰湿者忌用。

选方

1、流行性腮腺炎

组成:鲜苦蘵93.8克,金银花11.3克,鸭公青30.0克,海金沙藤18.8克,叶下红18.8克,冰糖37.5克

用法:水7碗煎3碗,去药渣。加冰糖煮溶化后,分3次服用。

2、扁桃体起白点(白喉)

组成:鲜苦蘵18.8克,鲜掇鼻草18.8克,凤尾草30.0克,铁马鞭15.0克,龙葵根18.8克

用法:水5碗煎2碗,分2次服。

3、妇女尿道炎

组成:苦蘵30.0克,金丝草30.0克,珍冬毛18.8克,白刺杏18.8克,白花草15.0克,侧柏叶11.3克

用法:水7碗煎3碗,去药渣。加黑糖炖溶化后,分3次服用。

4、咽喉肿痛

组成:苦蘵30.0克,白马蜈蚣草30.0克,一枝香18.8克,蔡鼻草头18.8克,黄连蕉头18.8克,兔儿菜18.8克,酢浆草18.8克,两面针11.3克,山豆根7.5克,射干7.5克

用法:水8碗煎3碗。分3次服。

5、睾丸炎

组成:苦蘵30.0克荔枝核11.3克(盐水炒)

用法:水煎2次服。

6、天疱疮(皮肤水泡)

组成:鲜苦蘵75.0克

用法:加水煮浓汁外洗患处,并以果实捣烂外敷。或捣

7、手指头发炎

组成:鲜苦蘵果实18.8克

用法:捣烂外敷手指头发炎处。

8、湿疮肿毒

组成:鲜苦蘵75.0克

用法:水煎浓汁外洗患处,或捣敷患处。

9、中耳炎

组成:鲜苦蘵适量,冰片少许

用法:鲜苦蘵榨汁,加冰片,滴耳1~2滴。

10、疗疮肿毒

组成:鲜苦蘵75.0克(洗净)

用法:捣烂外敷患处,并以水煎服。

药用部位

为茄科植物苦蘵的全草。